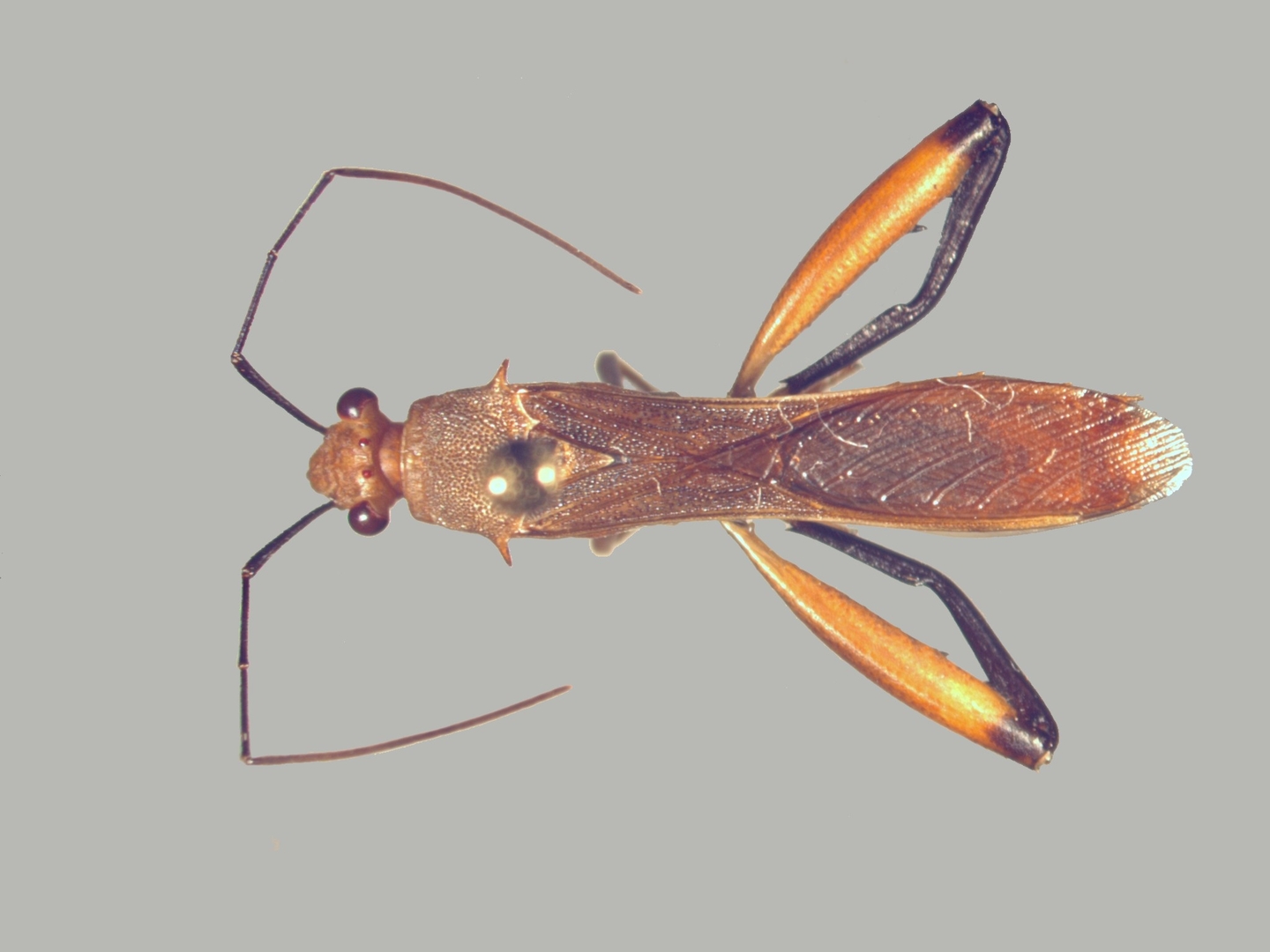
Hyalymenus (Tivarbus) pulcher (Stål 1854)
 
Geographic distribution
Distribution
No economic damages registered
  • Argentina
    • Misiones
Other distribution
Also known from Honduras, Mexico, Panama, and USA (Brailovsky & Zurbia Flores 1979).
 
  • MELO M.C., DELLAPÉ G., OLIVERA L., VARELA P.S., MONTEMAYOR S.I. & DELLAPÉ P.M. 2017. Diversity of true bugs from Iguazu National Park, Argentina. CheckList 13(5): 479-511.
Creative Commons License Except where otherwise noted, content on this site is licensed under a Creative Commons Attribution-ShareAlike 4.0 International License.