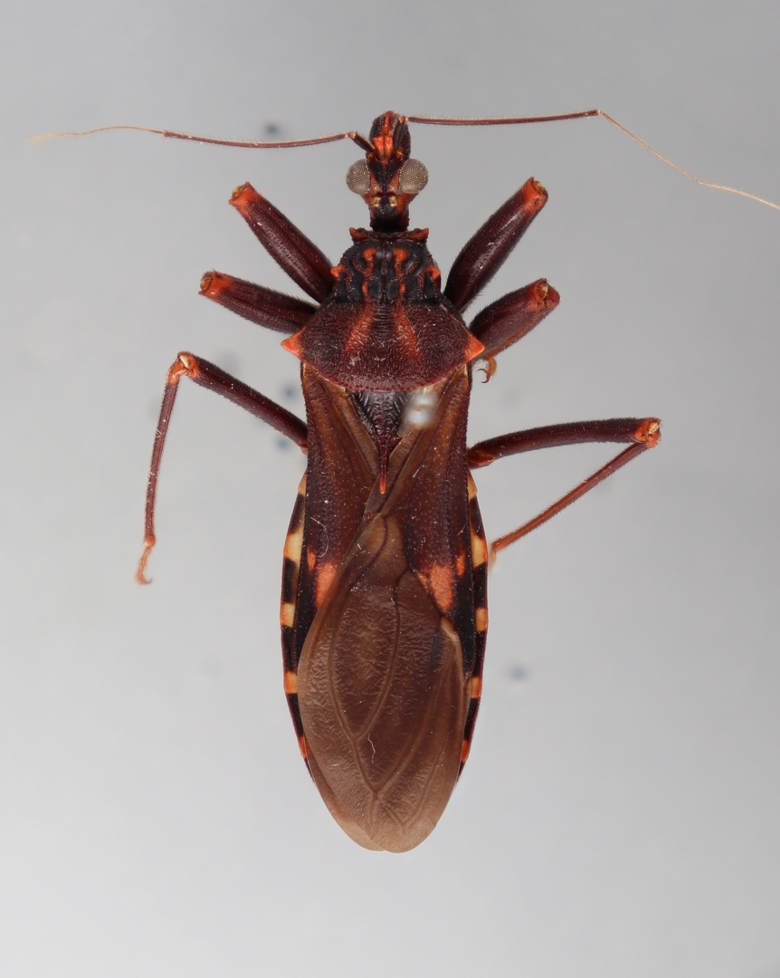
Ophistacidius pertinax (Breddin 1903)
 
Distribución geográfica
Distribución
Sin perjuicios económicos registrados
  • Argentina
    • Chaco
    • Misiones
    • Salta
    • Santiago del Estero
    • Tucumán
Otra distribución
También conocida de Belice, Bolivia, Brasil, Guayana Británica, Ecuador y Venezuela (Lent & Wygodzinsky 1966).
 
  • Spiniger pertinax Breddin 1903
  • Spiniger domesticus Pinto 1927
  • Spiniger (Opisthacidius) domesticus: Costa Lima 1940
  • Zelurus domesticus: Lent & Wygodzinsky 1946
  • Zelurus pertinax: Lent & Wygodzinsky 1946
  • LENT H. & WYGODZINSKY P. 1947. Contribucao ao conhecimento dos "Reduviinae" americanos (Reduviidae, Hemiptera). Revista Brasileira de Biologia 7(3): 341-368.
  • MELO, M. C., DELLAPÉ, G., OLIVERA, L., VARELA, P. S., MONTEMAYOR, S. I., & DELLAPÉ, P. M. 2017. Diversity of true bugs from Iguazú National Park, Argentina. CheckList 13(5): 479-511.
  • MELO, M.C., CASTRO-HUERTAS, V., MINGHETTI, E., OLIVERA, L., SERRANO, A. & DELLAPÉ, P.M. 2024. 2024. Diversity of true bugs (Insecta, Hemiptera, Heteroptera) from the El Impenetrable National Park, Argentina. Zootaxa 424 (1): 1–43.
Creative Commons License Excepto en los lugares indicados, los contenidos de este sitio están bajo una licencia Creative Commons Reconocimiento-CompartirIgual 4.0 Internacional.