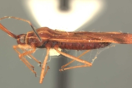
Tigava bombacis Drake & Poor 1938
 
Distribución geográfica
Distribución
Sin perjuicios económicos registrados
  • Argentina
    • Salta
Otra distribución
Brasil
 
  • Tigava convexicollis (not Champion): Drake & Hambleton, 1935
El complejo de generos del Nuevo Mundo Tigava está actualmente constituido por nueve generos que comparten una morfología sencilla, cuando se compara con la de otras chinches de encaje, pocas ornamentaciones con cuerpos chatos y elongados y antenas muy largas y delgadas con el segmento antenal I particularmente largo. Tigava bombacis fue registrada por primera vez para la provincia de Salta por Kormilev (1955). Henry et al. (2017) desarrollan una clave para identificar al género Tigava de los restantes géneros que componen al complejo Tigava y brindan una caracterización del género.
Bombax sp.; Chorisia sp.; Chorisia speciosa.
  • HENRY, T.J., S.I. MONTEMAYOR & A.H. KNUDSON. 2017. Review of the New World Tigava Lace Bug Complex (Hemiptera: Heteroptera: Tingidae), with the Description of Two New Genera and Two New Species and a Key to Genera. Dugesiana 24(2): 269-277.
Creative Commons License Excepto en los lugares indicados, los contenidos de este sitio están bajo una licencia Creative Commons Reconocimiento-CompartirIgual 4.0 Internacional.