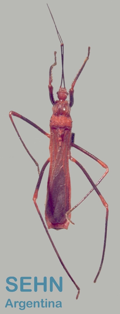
Saica apicalis Osborn & Drake 1915
 
Geographic distribution
Distribution
No economic damages registered
  • Argentina
    • Corrientes
    • Misiones
Other distribution
Also known from Bolivia, Brazil, Colombia, Ecuador, French Guiana, Guatemala, and Panama (Gil-Santana 2008, Castro Huertas & Melo 2024).
 
  • ORBORN, H. & DRAKE, C.J. 1915. Records of Guatemalan Hemiptera-Heteroptera whit description of new species. The Ohio Naturalist 15(8):529-541.
  • MELO, M.C. & M.C. COSCARON. 2004. New records of Reduviidae (Hemiptera: Heteroptera) from Argentina. Zootaxa 698: 1-4.
  • GIL-SANTANA, H.R. 2008. New records, and nomenclatural and biological notes on Reduviidae ((Hemiptera, Heteroptera) from Bolivia and Brazil. Zootaxa, 1785: 43-53.
  • MELO, M. C., DELLAPÉ, G., OLIVERA, L., VARELA, P. S., MONTEMAYOR, S. I., & DELLAPÉ, P. M. 2017. Diversity of true bugs from Iguazú National Park, Argentina. CheckList 13(5): 479-511.
  • CASTRO HUERTAS, V. & MELO, M.C. 2024. Saica Amyot & Serville, 1843 (Reduviidae, Emesinae, Saicini): taxonomic revision and phylogenetic analysis with morphological characters. Zoosystema 46(32): 813-845.
Creative Commons License Except where otherwise noted, content on this site is licensed under a Creative Commons Attribution-ShareAlike 4.0 International License.