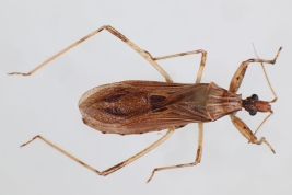
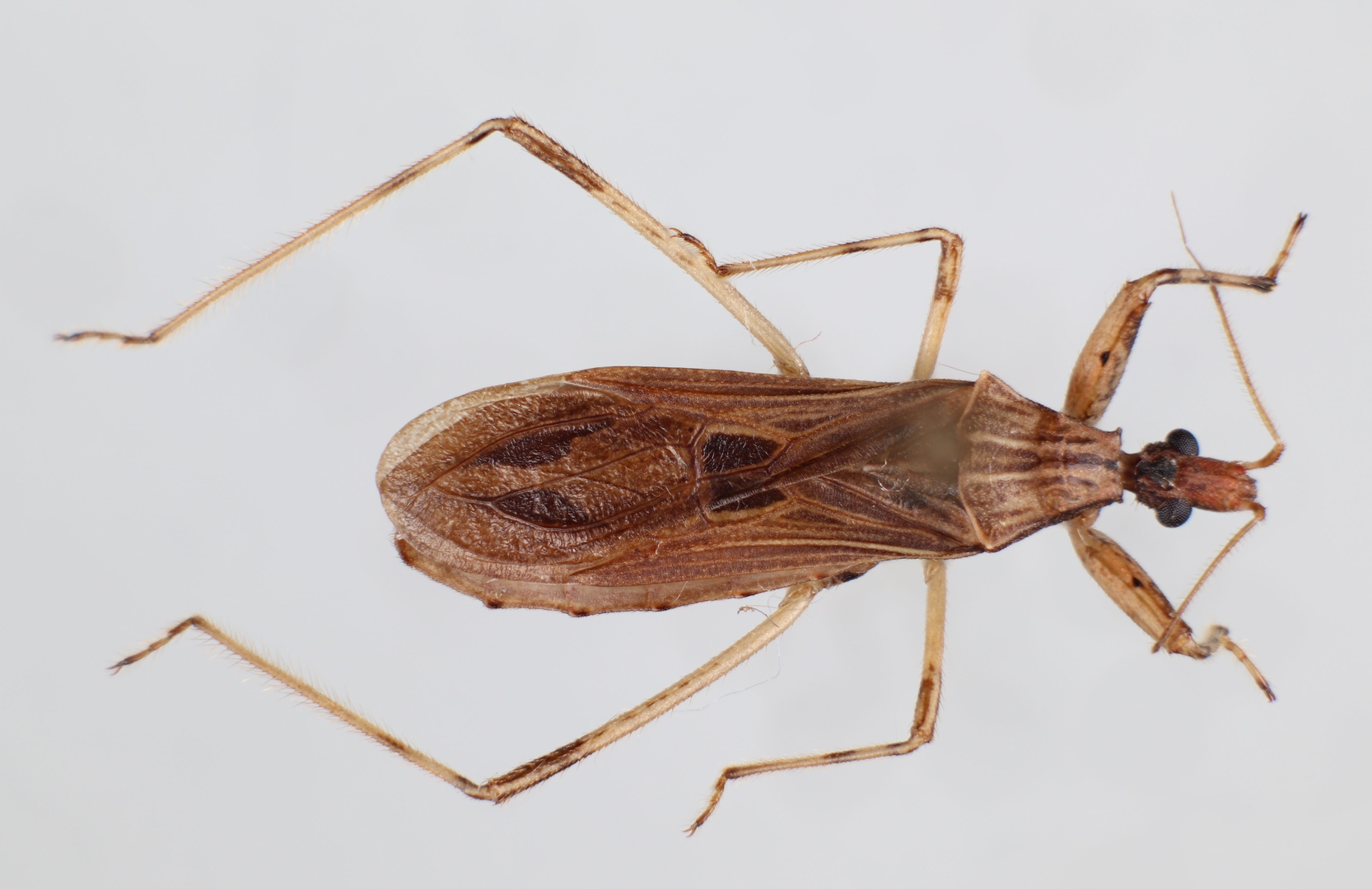
Oncocephalus validispinis Reuter 1882
 
Geographic distribution
Distribution
No economic damages registered
  • Argentina
    • Buenos Aires
    • Chaco
    • Córdoba
    • Entre Ríos
    • Santa Fe
    • Santiago del Estero
Other distribution
Also known from Bolivia, Brazil, British Guiana, and Peru (Barber 1930).
 
  • Oncodephalus mazzai Costa Lima 1941
Holotype and one paratype of Oncocephalus mazzai deposited at the Costa Lima Collection, Oswaldo Cruz Institute, Rio de Janeiro, Brazil (Dolsan de Almeida et al. 2014).
  • BARBER, H.G. 1930. Essay on the subfamily Stenopodinae of the New World. Entomologica Americana, 10(3-4): 215-224.
  • DOLSAN DE ALMEIDA M., J. MOURÃO DOS SANTOS RODRIGUES, F. FERRAZ FIGUEIREDO MOREIRA & J. JURBERG. 2014. Lista dos Exemplares-Tipo de Heteroptera (Insecta: Hemiptera) da Coleção Costa Lima, Instituto Oswaldo Cruz, Rio de Janeiro, Brasil. EntomoBrasilis 7 (2): 151-158.
Creative Commons License Except where otherwise noted, content on this site is licensed under a Creative Commons Attribution-ShareAlike 4.0 International License.